一、简答题
1.我国西南地区某地级市,其南部为丘陵,北部为山区,山区经济以农林为主。受地形条件影响,城镇主要集中在南部和中部地带,市域城镇化水平在35%左右.市域内现有大城市一个,县城6个,其它建制镇34个.
规划为求市域内城镇均衡发展,在北部地区新设3个镇:市域交通规划基本符合发展要求,试结合现状和规划示意图,指出在城镇等级布局和主要交通线路规划中存在的主要问题,并简要说明理由.

标准答案:1、重点镇设置过多。(3分)
2、4号镇和34号镇不宜作为重点镇(3),不*近主要交通干线(l)。(3分)
3、新增设的3个镇中,35号(2)和36号(2)设置条件不充分。(4分)
4、南北向高速公路与中心城市联系不便。(4分).
2.图为某县级市城市用地发展布局和省道改线的两个方案。值得注意的是该市西距人口65万的地级市40公里,东距5万人口的县城30公里:用地条件较好,西部为山丘坡地,东部较为平坦,水资源充沛,虽现状人口不足10万,但近些年国家铁路通车后,社会经济快速发展,省域城镇体系规划中已确定其为重点发展城市。
试评析,哪一个方案对城市今后的发展更为有利?为什么?(注:不考虑人口规模预测及各项用地比例)。

标准答案:1、重点镇设置过多。(3分)
2、4号镇和34号镇不宜作为重点镇(3),不*近主要交通干线(l)。(3分)
3、新增设的3个镇中,35号(2)和36号(2)设置条件不充分。(4分)
4、南北向高速公路与中心城市联系不便。(4分).
2.图为某县级市城市用地发展布局和省道改线的两个方案。值得注意的是该市西距人口65万的地级市40公里,东距5万人口的县城30公里:用地条件较好,西部为山丘坡地,东部较为平坦,水资源充沛,虽现状人口不足10万,但近些年国家铁路通车后,社会经济快速发展,省域城镇体系规划中已确定其为重点发展城市。
试评析,哪一个方案对城市今后的发展更为有利?为什么?(注:不考虑人口规模预测及各项用地比例)。


标准答案:1、方案二更为有利(3分)。
2、主要用地布局合理(2)有利于城市发展(2)。(4分)
3、少占良田(2)。(2分)
4、城市向西发展有利于接受大城市的辐射作用。(2分)
5、省道的改线方式既能使城市的长远发展用地完整(2),又便于组织城市路网(2)(4分)
3.图为某城市新区主干路AB与次干路CD交*口规划平面图.规划主干路AB的横断面为双向6条机动车道三块板布置,次干路CD的横断面为双向4条机动车道一块板布置。交*口设置了5个公交停*站,其中2、3、5号站为直行、右转公交站,1、4号站为左转公交站,停*站距交*口距离如图所示.
试指出该交*口规划平面布置存在的问题.

标准答案:1、交*口的机动车道(l)没有渠化(1)、拓宽(1)。(3分)
2、1号公交停*不应布置在进口道上。(2分)
3、4号、5号公交停*站距交*口过近。(3分)
4、干道公交停*站未布置为港湾式(1)。(1分)
5、公交停*站应退后红线(1分)。
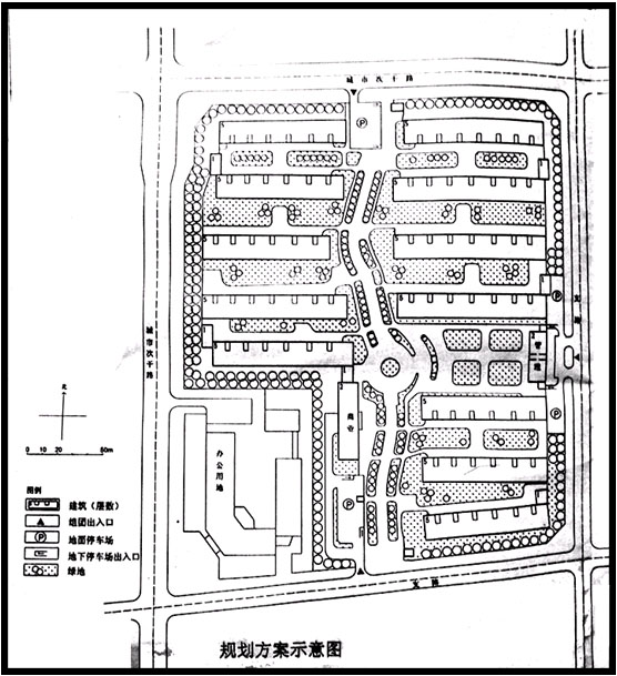
4.某市在城市主干路东侧一块平坦的空地上,拟建一个小区,规划实施方案见示意图。
请你评析一下该方案的优缺点(不考虑相关经济技术指标问题)。

标准答案:1、空间组织比较清晰合理(2分),住宅朝向好(1分)。(3分)
2、小区主要绿地(1)、步行(1)、水景(1)系统纵其南北,位置适中。(3分)
3、幼儿园(1)、物业管理中心(1)位置适中。(2分)
4、主要出入口不要开在城市主干路上。(3分)
5、地下车场出入口离小区出入口太近。(2分)
6、在住宅楼间布置停车场,对居民干扰大。(2分)
5.某建设单位通过参与国有土地使用权拍卖,竞得某城市中心区两个地块的土地使用权,两地块面积共46公顷,规划性质为居住和公建,建设总量控制为住宅60万平方米,公建40万平方米。该地段西侧、北侧为城市公园,东侧为市级体育设施。地块南侧和东侧临城市主干路,西、北两侧为城市次干路.城市干路围合范围内的用地面积为85公顷,其中己建成三个居住小区,分别位于该地块的南侧和北侧,已按小区规模安排了配套设施,并已有一所中专学校.
依据该两地块土地出让的规划设计条件,分析还有哪些规划设计条件需要补充(地段现状详见示意图).己给出的规划设计条件:
1.用地情况:规划用地性质、规划用地面积、用地边界条件;
2.土地使用强度:容积率、建筑密度的规划控制指标;
3.建筑后退要求(包括城市绿化带和建筑后退线)及间距规定;
4.绿地率及集中绿地配置要求:
5.建筑风格、体量、色彩等要求;
6.遵守事项:规划设计条件的时限、规划方案编制、报审及建设项目相关手续申报须符合的有关规范和规定要求。
试补充其它必要的规划设计条件。

标准答案:1、建筑限高条件。(2分)
2、拟建地块里新建建筑应考虑对原有建筑的影响。(4分)
3、处理好与城市公园(1)、市级体育设施(l)及城市干路沿线(1)的关系。(3分)
4、结合现状统一规划居住区级道路系统(2),考虑拟建地块出入口设置(1)和停车设置要求(1)。(4分)
5、按居住区规模要求安排居住区级(l)公共服务配套设施(l)及市政设施没。 (2分)
6.图示某房地产开发公司通过土地拍卖,购得一宗商住开发建设用她的土地使用权。总用地面积为7.25公顷。其规划设计条件除按有关规范规定要求外,还提出以下规划要求:
沿城市主干路必须设置20米宽绿化带,且拟建建筑退绿化带应不小于10米;河道西侧规划设置15米宽的绿化带,拟建建筑退绿化带应不小于5米;高层住宅建筑高度不应超过50米:沿公园30米范围内之建筑高度不应超过3层,沿城市主干路应独立设置大型公建设施。
对图示方案进行审核,提出存在的问题。

标准答案:1、小区机动车出入口不应开向城市主干路。(3分)
2、沿城市主干路20米绿化带内不应安排停车场。(3分)
3、东侧12层住宅退绿化带不足5米。 (3分)
4、沿城市主干路应独立设置大型设施,不应与住宅相接(2)。超过条件所给的50米限高要求(2栋住宅楼为20层)(1)。(3分)
5、最南侧临城市公园12层住宅,超过3层的规划要求。(3分)
7.某市一单位在市中心区有一片多层住宅楼。其中有两栋(每栋各六个单元门)住宅楼是临城市干路的。经市城市规划行政主管部门批准,占用了上述两栋住宅楼之间的空地(两栋楼山墙间距为16米),建设一栋两层轻体结构的临时建筑,使用期为两年。在建设期间,市规划监督检查科的两名执法人员到现场监督检查时发现:擅自加建了第三层,且结构部分已完成。为此,依法立案查处。随后,经科务会议紧急研究决定:对该违法建设处以数十万元罚款,并决定加建的第三层与临时建筑到期时一并拆除,同时,要求该单位在十五日内到市城市规划行政主管部门缴纳罚款。违法建设行政处罚决定书加盖监督检查科公章后,立即送达违法建设单位。
试就上述审批临建工程和处理违法建设的行政行为,评析哪些是不符合现行有关规定的。
标准答案:1、临时建筑占用了两楼之间空地,不符合消防规定(1)规划管理部门违反规定审批临建工程,属违法行政行为(2)。(3分)
2、城市监督检查科不是行政执法主体(1)。违法建设行政处罚书由监督检查科盖章是不符合规定的(2)。(3分)
3、较大数额罚款(l),未告知被处罚单位享有听证等权利(2)。(3分)
4、罚款与收缴罚款必须分离(1.5),规划行政主管部门直接收缴罚款是不符合规定的(1.5)(3分)
5、该建筑应该拆除(2),拆除被批准的临建审批者应予赔偿(1)。(3分)
8.某地级市总体规划确定,主城区在现状基础上仍分为5个组团,该市地势西北高,东南低,有3条河流,主导风向东北风,主城区现状常住人口60万人,规划为90万人(见现状图和规划示意图)
规划要点:
1.城市性质:省城北部区域中心城市,新型工业基地.
2.总体布局:为"二主三副"的组合型布局结构,二个核心为A,E组团;三副即B,C,D功能组团;各组团之间
保留农田和生态绿地进行分隔.
3.道路交通:增建告诉公路出入口3,规划连接各组团的城市快速路系统.
4.工业布局:规划4处工业区,在A组团安排机械制造和生物制药园区:C组团安排新型建材及水泥厂,E组团为电子信息高新技术园区,B组团安排物流中心.
5.在组团隔离带内留出高压电力线走廊,新规划1个水厂,4个污水处理厂.
试指出上述规划中不合理之处,并简要说明理由.

标准答案:1. 总体布局结构为“二主、三副”不合理,(E组团没有成为核心组团的条件)。 3分
2. 没有新增加高速公路出入口3的必要。 2分
3. 城市快速路系统设置不合理。 2分
4. E组团与A组团之间只有一条城市主干道不合理。 2分
5. 在上风上水方向 (1.5分)的C组团安排新型建材、水泥厂选址不当(1.5分)。 3分
6. 污水厂1在水厂3上游(1.5分)选址不当,污水厂数量偏多(1.5分) 3分
9.图为某市25万人口的城市主城区总体规划示意图.
该市的东,南有高速公路和铁路,设有客货兼营火车站一座,西边为一湖泊,东南方向离某特大城市约70公里,西北方向离某地级市约50公里.
该市确定以发展无污染工业和旅游度假服务为主导的综合性城市.规划以河流,绿带为轴,贯穿城市中部,分北城区,南城区,东组团三区片,北城区为全市公共活动中心和居住区,南城区为工业,仓储区,东组团为新规划的居住区,沿湖风景优美,规划两座度假村.
请指出该总体规划布局的主要不当之处及其理由.

标准答案:1、在南北城区尚有空闲建设用地的情况下(1分),不宜跨越高速公路和铁路发展东组团(2分)。(3分)
2、南北城区功能划分不尽合理(2分),会产生上下班的交通问题(2分)。(4分)
3、规划布局没有充分考虑火车站的客运功能(2分),主要居住用地远离火车站(2分)。(4分)
4、南北城区之间联系的道路偏少。(2分)
5、度假村A不应该安排在行洪区内。(2分)
10.图为我国南方近郊的一块多边形用地,面积约80公顷,周边为已建城市主,次干路,按照分区规划的要求,应将其规划为一个可容纳4.0万人左右,分设为三个居住小区的居住区,并附设城市公共加油站一处(用地面积为1200平方米).
规划设计人员据此结合居住区配套公建的分布,小区公建和住宅组团,绿地系统,道路系统等的综合布置进行研究,提出了如图所示的居住区和小区主路的路网结构规划方案及城市公共加油站的选址.
试评析该规划及选址方案的主要优缺点.(提示:不涉及道路宽度,断面形式和转弯半径)

标准答案:1、居住区道路和小区主路结构清晰(1分),主要走向顺应了城市主导风向(1分),成为居住区良好的通风走廊。(2分)
2、小区主路沟通了三个小区,联系方便。(2分)
3、II号小区的二条主路不宜直接向城市主干路开口(1.5分),且开口间距过近(0.5分)。(2分)
4、小区主路不宜采用尽端式道路(1.5分),且长度超过规定要求(0.5分)。(2分)
5、城市公共加油站不宜没城市主干路及交*口布置。(2分)
11.图为某市一个居住区组团规划方案,规划用地9平方米,规划住宅户数800户,人口约3000人.该地块西,北临城市次干路,东南两侧为支路,在地块外西南角为现状行政办公用地,根据当地规划条件要求,住宅建筑均为5层,层高2.8米,日照系数不少于1.4.该规划方案布置了12幢住宅楼及物流管理和商业建筑;结合组团出入口安排地面和地下停车场,并有市政工程和环卫设施配套.
评析该方案,具体指出方案的主要优点和存在的问题.

标准答案:1、在出入口附近设停车场,地面与地下停车结合。(2分)
2、步行系统较好。(2分)
3、中心绿带与住宅相连,方便居民使用。(2分)
4、住宅建筑朝向好。(2分)
5、东入口人车有干扰。(2分)
6、西南角和东南角两组住宅建筑的间距不足。(3分)
7、住宅建筑布置较呆板。(2分)
12.某市城区一个地块面积为24公顷,规划性质为居住和公建,公建在地块东侧带状布置,地块内现状无保留
建筑.建设总量控制为居住建筑面积22万平方米,公建面积12万平方米,地块北侧为已建成的配套齐全的居住区;西侧,南侧为城市河流,沿河建设有城市绿带公园;东北侧和东南侧临城市主干路,主干路和主干路交*口规划为立交,东北侧主干路下敷设地铁交通线路,并在规划范围内设车站.
已给出的国有土地出让的规划设计条件:
1.用地情况:规划性质,边界条件,规划用地面积;
2.土地使用强度(规划控制指标);容积率,建筑密度的控制指标;
3.建筑后退要求及间距规定;
4.公共服务配套设施,市政公共设施及竖向设计要求;
5.遵守事项:规划设计条件的时限,规划方案编制,报审及建设项目相关手续申报须符合的有关规范和规定要求
请补充其他必要的国有土地出让规划设计条件

标准答案:1、 补充建筑限高条件(2)
2、 注重环境和景观的设计(2),处理好与沿河城市绿带公园的关系(1)及与立交桥的关系(1)。
3、 补充绿地率(2)和绿线要求。(2)
4、 解决好地块出入口方位(2);满足停车场设置要求(1)。
5、 明确地铁出入口位置(2)
13.某北城市拟在市中心地段新建一集公寓,办公,宾馆,商业为一体的综合性建筑,用地朝向为南偏东13°,用地四情况如下:
东侧为城市支路,道路红线宽度20米,退红线设10米宽绿带;
南侧为城市次干道,道路红线宽度30米,退红线设15米宽绿带;
北侧为现状居民区,全部为6层砖混住宅;
西侧为现状办公楼.
城市规划部门提供的规划设计条件如下:
1.低层,多层建筑退绿线不少于5米;
2.高层建筑退绿线不少于15米;
3.建筑高度100米;
4.绿地率不少于15%;
5.停车车位:按照规范要求;
6.日照要求:板式建筑间距系数为1.51,塔式建筑间距为遮挡面面宽的1.2倍.
设计单位提供的图纸详见附图.
请按照我国相关规定及规划管理部门的规划设计条件提出设计图纸中存在的问题.

标准答案:1、新建建筑南侧未满足设置15M绿化带的要求。(2分)
2、不应该占用绿化带布置机动车停车场。(2分)
3、沿街建筑物长度超过150M时,应设消防车道。(2分)
4、高层办公楼与高层公寓之间的间距不符合消防要求。(2分)
5、高层公寓、宾馆裙房距北侧住宅之间的间距不足。(2分)
6、高层建筑下部全部被裙房包围,应该有部分高层外墙直接垂直落地(2分),并应该有直接对外出入口(1分)。(3分)
14.某市新建一处占地80公顷的公园,现已初具规模,市园林行政主管部门为加强该园管理工作,拟在公园总体规划已确定的管理用房位置,向市规划行政主管部门提出审查,要求兴建一懂三层办公管理用房,经市规划行政主管部门研究同意该项申请,并核发建筑工程许可证。
该工程建设期间,市规划行政主管部门两名执法人员,到现场监督检查时,发现该项工程正在砌四层墙体,有的已砌到了2米多高,与此同时,还发现该工程擅自增建了一层地下室,并且还在该楼的每个房间内增设了一个卫生间,为此执法人员当即找到了该工程的主管负责人和单位法人,在核对、查清事实后,发出了停工通知书,责令该工程立即停工,听候处理。
试问:1、该工程被查令立即停工的具体原因是什么?
2、市规划行政主管部门应该如何处理?
标准答案:1、擅自改变建筑工程规划许可证内容(擅自改变标准 、设计图纸)(2分)
2、自行增加层数(扩大面积)(2分)
3、擅自增加卫生间,改变建筑使用性质(2分)
4、已构成违法建设(2分)
5、拆除第四层墙体(1.5)和增设的卫生间(1.5分)
6、对地下室依法罚款后(1分)补办审批手续(1)
7、对工程主要负责人建议给予行政处分(1分)
15.开发建设单位申请在某城市中心区进行旧区改造,建设商贸、办公建筑项目。该地段西侧为风貌性建筑,集中成片,并有小游园一处,现已批准公布为“保护近代西式住宅风貌为主的历史街区”的重点保护区。拟改造规划可用地面积约31h,为历史街区保护的建设控制地带,其中有几幢可保留的风貌建筑(基础现状详见下图)。

某旧区改造地段示意图
经城市规划管理部门研究后,认为该申请建设项目与城市总体规划确定的用地性质相符,但在改造中必须严格有效控制,为此拟出了修建性详规的部分规划条件:
(1)用地情况:规划性质、边界条件、规划用地面积。
(2)土地使用强度(规划控制指标):容积率、建筑密度。
(3)建筑后退要求。
(4)市政设施和公建服务设施的配置要求。
(5)人流、车流出入口和停车场地的设置要求。
(6)遵守事项——规划设计条件的时限、规划方案编制、报审及建设项目相关手续申报须符合的有关规范、规定要求。
问题:请你依据建设部关于城市规划强制性内容暂行规定的要求,指出还有哪些规划设计条件需要补充?
标准答案:需要补充的规划条件是:
应具体给出拟改造地段内需要保留和保护的风貌建筑。
提出建筑限高要求。
提出对新建建筑物、构筑物的控制要求。
按规定应提出绿地率、公共绿地面积指标。
拟改造地段内道路应与历史街区的道路系统相协调。
16.我国西南部某滨水城市总体规划方案。城市北部是一个自然环境保护区,西北有一个山区水库,是城市的主要水源地,南部被一条河流环抱,城市主要对外出人口在东北部。
该城市总体规划示意图如下图所示:

某城市总体规划示意图
问题:根据城市总体规划方案,分析存在的主要问题并提出合理的方案。
标准答案:1、城市总体规划方案中的主要问题是:
(1)城市总体规划方案中的主要问题是:
(1)水源保护地是重要的环境保护区域,禁止任何建设(必要的与科研、考察、勘探等需要相关的少量建筑除外),因此不能建设别墅区。
(2)自然环境保护区内不得建设以盈利为主的宾馆、商业设施。
(3)河流中心岛屿与布局错误。从图中可以看到,河道沿岸已修筑了防洪堤,岛屿处在河道行洪区内,行洪区内不得进行城市建设。而该规划方案中将岛屿与开发成度假村,显然不符合要求,同时对度假村的安全造成威胁,应迁出,保证河道行洪安全。
(4)油库布局不合理。油库属危险品仓库,应选择山凹地或远离城市、相对偏僻的地方,该油库选址对城市其他功能区造成危险,如周边的生活区、仓库区等。
(5)该油库布局影响城市安全。由于城市的主要出入口位于东北部,油库一旦发生危险,会导致调整公路破坏,甚至切断城市对外通道,阻断城市内外生产、生活物资的流动,使整个城市“生命”受到威胁。这是城市总体布局中必须避免的方式。
(6)油库周边必须留出防护隔离绿带。
(7)污水处理厂应移至河流下流。
2、方案调整建设如下图所示:

调整后的该城市总体规划图
17.某城市一居住小区,规划占地约14h,建筑面积约140000,居住户数约1000户。小区南侧是一条城市次干道,北侧是一条城市支路,小区的主、次入口分别设在城市的次干路和支路上,小区西南角有一条防护隔离绿地。小区住宅设计完善,户型合理,交通便捷,环境舒适,但缺少小区公共服务和必要的配套设施(提示:缺少商业、教育、管理、休闲娱乐场所、电力设施)。
居住小区规划如下图所示:

某居住小区规划图
问题:请分析该小区情况,补充缺项的内容,并分别布置在插图中①~⑥的位置。
标准答案:该项目为一居住小区,根据居住小区配套基本要求,必须配置小学一所、幼儿园一所及商业服务业用房,并根据题中提示,还应有物业管理楼、小区公园(结合运动场或休闲广场综合布置),另外,小区西南角有一处高压走廊,而题中也说明缺少电力设施,所以应补充变电站一座。小学应布置在交通方便、服务半径合理的位置;幼儿园应布置在环境好、比较安静、有易于上下班接送的地方;而商业服务及物业管理应布置在小区出入口附近。各项配套设施具体位置如下图所示:
补充后的居住小区规划

18.某市是一个滨海平原城市,属县级市,共有24个建制镇。该市的市域城镇体系规划如下图所示:

某市市域城镇体系规划图(2001-2002年)
问题:请指出该体系规划图中的不妥之处。标准答案:该体系规划中的不妥之处是:
1、规划年限不对,应在15~20年之间。
2、比例尺不对,应在1:100000~1:50000之间。
3、规划编制单位资质不够,一个县级市里的区级规划设计室不能承担县域城镇体系规划任务。
4、规划的沿海化工产业带与沿海湿地保护区有部分重叠,不合理。
5、规划的铁路穿过人类史前遗址保护区,不合理,应避让。
6、中心镇过多,全市共24个建制镇,就设了9个中心镇。
7、市域东北部规划的公路应与玄玉市衔接,修公路不应受行政区界的影响,故意绕开玄玉市面上。
8、规划的川南镇至太平镇的公路没有必要,属于了为了追求市域内的公路环而搞的重复建设。
9、规划的小山镇至马泉县城的公路没有必要,可由小山镇向西选择最短距离直接与田东公路衔接。
10、西海镇与田南市应规划一条公路,命名该市城区能与区域性港口有比较便利的连通。
11、污水处理厂位置不对,不能紧靠在田南市城区的上游。
19.某居住小区规划方案见下图:

某居住小区规划方案示意图
住宅建筑分为四个组团布置,其中,在东北组团北侧安排了4幢老年公寓。规划提出了以下有关建设标准和技术要求:
1、条式住宅之间的侧面间距为5m。
2、多层条式住宅和高层住宅之间的侧面间距为10m
3、所有条式住宅之间的正面间距均按冬至日照1h的日照标准计算。
4、宅间小路的路面宽度为1.5m。
5、临街住宅的出入口不直接开向城市干道。
6、所有6层条式住宅和8层塔式住宅均不设电梯。
问题:试判断这些标准和要求是否正确?凡认为正确的只需说明该条“正确”,认为不正确(或不完全正确)的,指出其错误之处,并具体回答正确的内容。
标准答案:1、不正确。多层条式住宅侧面间距不宜小于6m。
2、不正确。多层条式住宅和高层住宅侧面间距不宜小于13m。
3、不完全正确。一般条式住宅根据不同建筑气候区应分别按大寒日或冬至日的日照标准计算,老年条式住宅建筑的日照标准不应该低于冬至日日照2h的标准。
4、不正确。不应小于2.5m。
5、正确。
6、不完全正确。8层塔式住宅和6层老年住宅应设电梯。
20.2001年12月21日,某市中级人民法院对个体工商户林某不服规划局及环保局的行政处罚的上诉作出判决,驳回其上诉。至此,这起行政诉讼案以规划局和环保局的胜诉而告终。
上诉人林某在未办理报批手续的情况下,擅自于2000年6月将其经营的精研塑料厂从该市某某镇北海路迁至该镇新工业区,增设了八台切割机,新建了挤塑车间,且在未取得建设工程许可证,未采取任何环境保护设施的情况下擅自将主体工程正式投入生产。规划局和环境局联合执法,经过调查、取证和组织听证后,于6月28日作出了《行政处罚决定书》,认定林某上述行为违反了《城市规划法》、《某某市建设项目环境保护管理条例》,对上诉人作出责令停止生产、补办手续并处罚款3万元的行政处罚决定,林某不服,于2001年7月10日向某市人民法院提起行政诉讼,请求判决撤销处罚决定,林某认为自己是个个体工商户,不属于建设单位,另外,工厂搬迁经营场所,增加小型设备不属于要经建设管理部门、计划管理部门批准的项目,故不属于建设项目。
问题:试对法院的判决进行评析。
标准答案:1、根据城市规划法,规划区范围内任何建设都必须符合城市规划,都必须按法定程序进行报批,这包括单位和个人(个体经济和其他各种不同经济类型的开发活动)。因此,林某以个体工商户为借口,想跳过规划报建程序,这显然不符合城市规划法的要求。
2、另外,林某工厂的搬迁是不是属于建设项目,依据城市规划管理条例一看便知,城市建设项目是指一切新建、扩建、改建、翻建的房屋建筑(包括工业建筑、公共建筑、住宅建筑、仓储建筑等)、地下建筑、围墙建筑、大门建筑、小品建筑、人防工程、消防工场、停车场、公园、城市绿化、市政管线等。林某工厂异地搬迁,涉及建设用地的重新选址、建筑工程的重新设计、建设项目的环境保护、建设工程竣工验收等问题,均需要重新按照新建功立业建设项目的规划审批程序进行报建。否则就是属于违法建设,违法生产,必须依法处罚。
21.某行政单位有一片空地,单位领导与某房地产开发公司经过协商签署协议,由房地产开发公司开发高级住宅小区,将来收益各得50%。市民贾某与开发公司签订了购房合同,并一次付款18万元,工程完工半年后付10万元。拿到钥匙后,持有关证据去市房地产管理局办理房屋产权登记手续时,被房地产管理局告知,此住宅小区是属于行政单位的住宅小区,与房地产开发公司所签购房合同无效,不能办理住房权属登记。贾某于是起诉至人民法院,要求解除合同,赔偿购房损失。
问题:如何处理此案?
标准答案:根据《城市国有土地使用权出让转让规划管理办法》等有关房地产管理的法律、法规的规定,只有依法取得国有土地使用权,才能开发经营房地产。房地产开发公司可以与行政单位合作开发经营房地产,而不能以单独名义与购房者签订合同,故而是一种欺骗购房者的违法行为。如果房地产开发公司要以独立名义开发此高级小区,必须与行政单位协商后,办理国有土地使用权的转让手续。城市规划行政主管部门根据城市规划要求,本着有利于城市经济社会发展的原则,批准土地使用权的转让。受让方(房地产开发公司)应当遵守原出让合同附具的规划设计条件,并且受让方应向城市规划行政主管部门办理登记手续。本案例中,房地产公司的行为是非法行为,理应受到处罚。
相关推荐:
读书人网注册城市规划师频道:http://www.reader8.net/exam/csgh/